フィロデンドロン・バーキンを育てています
フィロデンドロン・バーキンを育て始めました
今年の7月にホームセンターで見つけて名前だけ知ってる程度だったのに
「本物かな〜」
「ホームセンターでも売っている植物なのかな〜」と疑って、買わないで帰ったのですが
「もしまたそこに行って売っていたら買おう」と思っていました
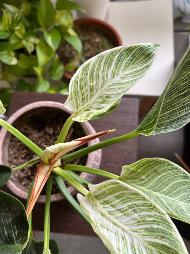
少しひらきました
1日1日に変化があります
開きました😀
3枚目の葉が
1枚目と2枚目のはあまり斑が入りませんでしたね
お店から家という環境の変化のせいかな?
みんなピカピカきれいなのはMOO&PLANTのおかげ
新芽が出ています
綺麗ですね〜
うちに来て1枚目の葉
2枚目の葉
3枚目の葉
そして4枚目
最近、、温かい日が続いて、開き始めました
白い葉かな?
わぁ〜
ユーチューブで、白い葉を出すために鉢をものすご〜く小さくして
根をギューギューに詰め込んでいるのを見て
そまでしなくても〜と思っていました
ゆったり育てても、白い葉が出てきたので良かったです
いよいよ寒くなってきたので置き場所を変えました
いままでいたリビングの上にある、ロフトへ、冬越中の月兎耳も見えますね
葉先が少し黄色くなっているので、グラグラさせても取れなければ
そのままにしておきますが、取れました
向こうはポトス・エンジョイ
アンスリウムも💕
新芽が上手に撮れないけど順調に育っています
全国的に寒波です
この間よりたくさん雪が降りましたが日差しに春を感じます
冬のはじめにリビングにあるのロフトに移動しておいたから大丈夫そうです
白い新芽見えますか〜
あ〜💦
折れました!!!
アロカシアニンジャを移動させたときに手がぶつかった〜
一瞬のことでショック!くっつかないかな〜
ごめんなさいね〜💧
しばらく呆然・・・くっついてほしかった
元気づけるように新葉が開き始めました
白い!
他の植物もイキイキ育っています
インスタ用に、見やすく白いバックにして撮りましたが、
さみしい気がして1月29日の方を使いました
反応がイマイチで、こっちのほうがよかったかな〜?
インスタまだまだ勉強中💦
その後あまり変化はなく3月になりました
新芽が出てきました
かわいい
下葉が黄色くなったので取りました
今度はポトス・エンジョイを移動させてぶつかって、葉が落ちました💦
バーキンの葉折れやすいのかな?
バーキンの葉折れやすいのかな?
一番下のここのところ〜
順番から言うと手前のが先のハズです
なごりおしく、折れたところをじっと見つめる
少し上から根が出てきていますよね
3月17日に出てきた葉は、こんな白になりました💕

植物を元気に!土をフカフカに! オーガニックの液肥MOO&PLANTがおすすめです♡
























































































